//=time() ?>
Job Security
Follow for more cartoons!
#jobsecurity #jobseekers #CareerAdvice #careerdevelopment #careergoals #naturaldisasters #HurricaneIda #hurricaneseason2021 #wildfires #wildfire #Relief #comics #comicstrip #webcomic #webcomics #cartoon
"Am I the sunshine of your life? Oooh" -- Scott to Markos, probably
Read about these mythological bisexual disasters at https://t.co/DTvbn2K954
#comic #comics #lgbtq #writelgbtq #queercomics
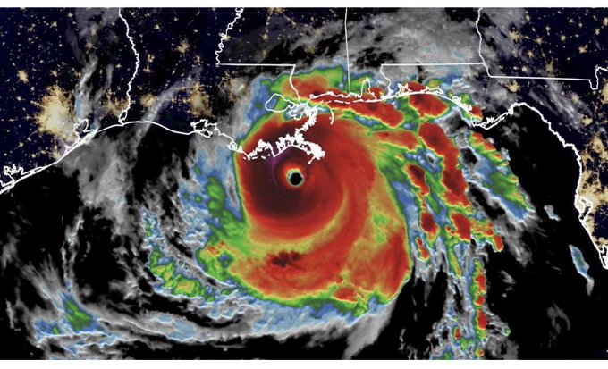
The Gulf Coast is going to need your help. The need for abortion care doesn’t stop for natural disasters like #HurricaneIda, it only becomes more urgent. Help folks get the care they need:
Louisiana - @NolaAbortionFnd
Alabama - @YellowFund
Mississippi - @FundMSabortions
On the Gauntlet Blog @edige23 continues his look at the History of Post-Apocalyptic RPG with 2018's line up. Transhumanist disasters, fantasy collapses, two different cat-based apocalypses, two different ALL-CAPS title, a metric ton of zombies, robots, children, samurai, & more.
On the Gauntlet Blog @edige23 continues his look at the History of Post-Apocalyptic RPG with 2018's line up. Transhumanist disasters, fantasy collapses, two different cat-based apocalypses, two different ALL-CAPS title, a metric ton of zombies, robots, children, samurai, & more.
Two bi disasters fail to properly sit in chairs while they sip wine and fall in love
#DragonAge #fenris #fenhawke #hawke #bioware
❤️Dear EveryOne
In Japan, it has been raining for about 7 days and disasters have occurred. I have never experienced such a long rain in my memory. The low pressure continues & I have a headache.
It's 3 o'clock midnight so I'm going to sleep! Thank you as always! good night😴
Two feet tall with a massive head and wrinkled skin, a knocker is a sight to see in the mines of Cornwall and Devon. A good sight, too: they beckon to veins of rich minerals and warn of incoming disasters when mines collapse. Treat them well. #FolkloreThursday
🤎KISS❤️ what can I say? I love them sm.
#mikisart #yax #YakkoWarner #MaxGoof #TheGoofyMovie #Animaniacs #bidisasters
おはにーー!
Barring any disasters, I'm planning to have my birthday karaoke stream TONIGHT at 7 PM EST!!
There'll be some fun surprises and maybe an announcement (nothing bad!), so I hope to see you there~~
Link below! 🍈🎉
#ENVtuber #VTuberUprising
Brand 2/12(?)
I dont think ive ever drawn nightrose and luard together before?
They’ve never interacted directly in lore either lol
If they did, something would probably explode or get set on fire, knowing these 2. Truly the walking disasters of cray.
@Neytiirix Always love seeing these redesigns so, this is Catastrofe! Natural disasters ocurr whenever they are around, Catastrofe can't stop them once they've begun so they tend to seclude themselves. They are very shy and methodical and are very interested in humans and history.
it's Monday of a new drawing, yes the colors didn't come out very well this time but these disasters are part of the learning process.
#artistontwittter #digitaldrawing #drawing #originalcharacter
Finished Reading: Love & Other Natural Disasters by Misa Sugiura. This is a book about complex love - love that makes demands of you and how you can fail the people you love. It also involves lesbians in a fake dating trope, which as we all know I love.
yay for progess I've gotten a little better since I started digital art last year. even with the hiccups and disasters during this I'm glad something came out of it.
02/20 07/21
More gay disasters, more magical weirdos, and the first big heist begins- Tonight, 7 PM EDT, in "City of Mist: The Right People"!
HERES SOME EXAMPLES I VERY MUCH JUST LIKE HOW DISASTERS DRAWN (ART BY @.KiwiiGecko , @.Wolflcloyd, @.meowpazzow, @.shinysketches
LIKE THE HORNS ON DISASTER!!! THE CLAW HANDS!!!! JUST BRRR EVERYONES HEADCANONS FOR THEM HAVE BEEN SO COOL https://t.co/ytxUZJcuzA