Michael Ferragamoさんのプロフィール画像

Michael Ferragamoさんのイラストまとめ


Tropical Cyclone Analyst, Graphic Designer, Hurricane Historian. Featured in USA Today & Fox Weather. New England → Oklahoma ☈

フォロー数:819 フォロワー数:15126
# ian

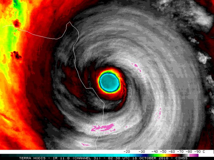
12 years ago, Super Typhoon Megi reached a monster peak intensity, with sustained winds of 185 mph and a pressure of 885 mb. Megi would later strike the Philippines at a similar intensity. It was the strongest TC of 2010, and is often considered one of the strongest recorded.

9 97

With 107 people confirmed dead, Hurricane is the deadliest Florida hurricane since the 1935 Labor Day Hurricane, which killed 423. Unfortunately, the death toll from Ian is expected to keep rising.

123 367

Practically all of Mississippi is now in a moderate risk. Nearly 8 million people…

20 156

1 year ago, a monster December snowstorm dumped 1-2 feet of snow across Massachusetts and nearby areas. I recorded 11.5”, with drifts up to 17”. After the storm, temps plummeted to 15°, turning the snow to practically concrete.

8 55