トマトさんです
赤く美しい実の植物、当時ヨーロッパ
でpoisonapple(毒リンゴ)と呼ばれ
貴族の錫食器を酸味で溶かし鉛中毒を
起こした誤解で毒植物として扱われて
しまいましたまた元々ナス科の植物は
毒性を持つ植物が多くありジャガイモ
にも芽に毒があるのも有名

2 8

fgo よりネロ・クラウディウス・カエサル・アウグストゥス・ゲルマニクス(キャスター)です。ちなみに鉛中毒で性格が豹変した説は有名ですが性格そのまま善政を持続出来なかっただけという説が有力です。   

20 244

日本で最大の野鳥オオワシ。凛々しい姿でありながらも、白いモンペをはいているような姿が可愛らしい冬の鳥。食べ物は主に魚だけど、動物の死骸も食べるため、鉛弾で撃たれたエゾジカの死骸を食べ鉛中毒で死亡するケースが多く、問題になっている。#オオワシ

4 22

橋梁桁に塗布された塗料の塗り替え作業中、鉛中毒を発症

【発生状況】
本災害は、高速道路で、橋梁桁に塗布された塗料の塗り替え作業中に発生した。高速道路の橋梁桁に塗布された塗料の塗り替え工事で、近隣環境への配慮のためビニールシートで作業場を覆…(続きはリンク先)https://t.co/42dHKefFKp

1 1

鉛酸化物製造設備解体による鉛中毒

【発生状況】
鉛酸化物を製造していた鉛設備の解体撤去工事(設備をガス溶断装置で分割し、廃材を洗浄し、クレーンでトラックに積込み、搬出・撤去する)を行っていたところ、作業開始から1ヶ月を過ぎた頃から複数の作…(続きはリンク先)https://t.co/XeORbFj0NJ

1 2

本州で収容されたコハクチョウの死体。胃内から大量の鉛散弾が発見され、検査で鉛中毒と判明した。ハクチョウやカモなどの水鳥は消化を助けるため筋胃の中に小石を蓄える習性があり、石と間違えて環境中にばら撒かれている鉛散弾を飲み込み鉛中毒になる。これを食べた猛禽も鉛中毒に陥る可能性がある。

684 1566

鉛弾に被弾した獲物の肉を食べ、鉛片を誤食して発症する猛禽類の鉛中毒。X線写真には鉛ライフル弾の砕片や塊、鉛サボット弾等が写る事がある。鉛片が無いが血中鉛濃度が高いことも多い。鉛が吸収されている場合だが、血液や臓器の鉛安定同位対比分析で多くが鉛ライフル弾に起因することがわかっている

162 559

恋、燃ゆる。本日は12:00/17:30の二回公演。遊女の場面では白粉で首まで白く塗っております。色の白いは七難隠すということわざのように江戸時代の女性も白粉を塗って肌を白くみせることにこだわりました。鉛中毒など色々問題はあったみたいですがいつの世も女性は美しくありたい

2 55

「第2の意見」

様々なジャンルのプロでも、ピンからきりであります

プロであっても一人だけの意見でなく、別の意見が大事であるかもしれません

猫が具合が悪くなり、最初の動物病院で原因不明、別のとこ連れてったら、鉛中毒と一発と見抜いた名医、という話を聞いた事あります

0 25

鉛中毒漫画を描き始めたのは「いきものフェス」での齊藤先生の講演の感想がきっかけだったので、当日の齊藤先生のお話に出てきた「コロポックルのようなシマフクロウのヒナ」を描いたものの、入れる場が無く放置され続けている子。
また何かで…

22 137

https://t.co/3TPejoBfSQ
ゴッホが一体何の病に侵されていたかは、現在でも色々な説があるようです
双極性障害などの精神病、また日射病や鉛中毒だったのではないかとも
もしゴッホがとってもヘルシーで幸福な生活を送っていたら、名作の数々は生まれなかったかもしれませんね

1 7

可愛い妖精さんが作れるメーカーだと思ってたのにやってみたら昭和の遊郭に売り飛ばされた宗雪ちゃん姉妹になった…姉様は鉛中毒か梅毒で妹は客の狼藉で片目が…みたいな話です多分
https://t.co/vxBhVlp6ft

2 7

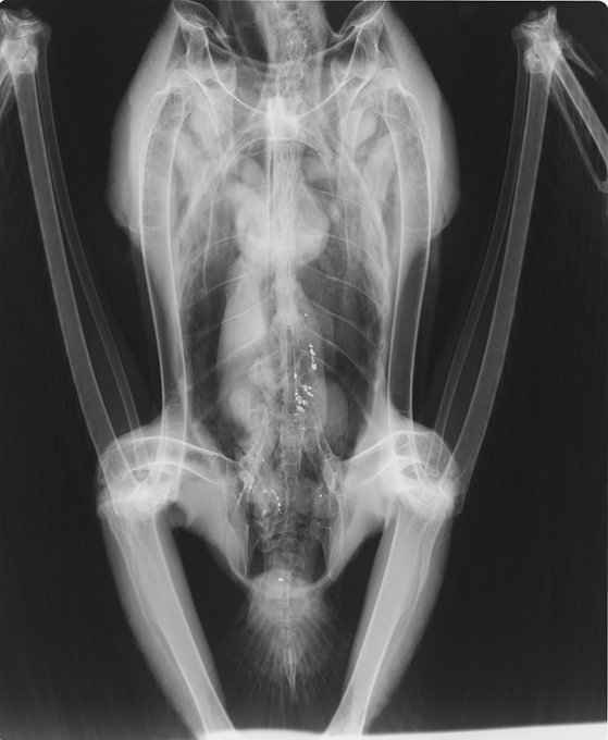
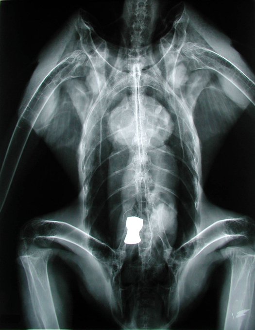
狩猟後に放置されたエゾシカの死体(狩猟残滓)を食べ、肉とともに鉛弾を飲み込んで鉛中毒死したオオワシ2症例。

① 1番目と2番目の写真は、鉛ライフル弾を摂食した個体のレントゲン写真と摘出した鉛弾。
② 3番目と4番目は散弾銃(ハーフライフル)用サボット弾(スラッグ弾)を飲み込んだ症例。

205 244

ファイル漁ってたら出てきた第二弾。これも何とかしなきゃいけない!
(猛禽の鉛中毒の件)

0 34