Insanely precious com I got of my baby by @/_Xtremity I love this so much!

12 95

💀It was this frightful emotional need which led us eventually to that detestable course which even in my present fear I mention with shame & timidity—that hideous extremity of human outrage, the abhorred practice of grave-robbing🎨CharllieeArts💀#HPLovecraft

4 17

presenting: annemity (or blightchuy)
🐸🦉[#amphibia,

190 1820

No one asked but I made a Hades / Owl House Crossover and it's really fun✨

So far I have Atheda, Zagreluz, Artemity, Darionysus, Lilyx, Thaunter, and Aphroditvee (LOL)

3524 21673

Just sharing some very cute art I got from @/_Xtremity and if they see this, thank you again!

3 31

Hai! I tried to do insanity and part of this quote from The Black Cat

"For one instant the party upon the stairs remained motionless, through extremity of terror and of awe. In the next, a dozen stout arms were toiling at the wall. It fell bodily."

1 13

I am Xtremity, just a multi-fandom artist who draws and need lotsa practice

I am focused on drawing pokemon ocs now and I love designing ocs! :]

6 14

I Summon You fellow Vtubers!! lets meet each other!

🍪 💜 🍪
💜 Friendly 💜
Awesome
🍪 🍪
💜 💜
🍪 💜 🍪

🎨:@/NeemityNim

4 17

☀️good morning guys!!☀️

gonna be chilling on stream with some more kingdom hearts! so come join me in this whacky adventure!

💜link below~💜

🎨: @/NeemityNim

0 6

Are you sure you wanna sleep next to me?...
🎨/NeemityNim

0 2

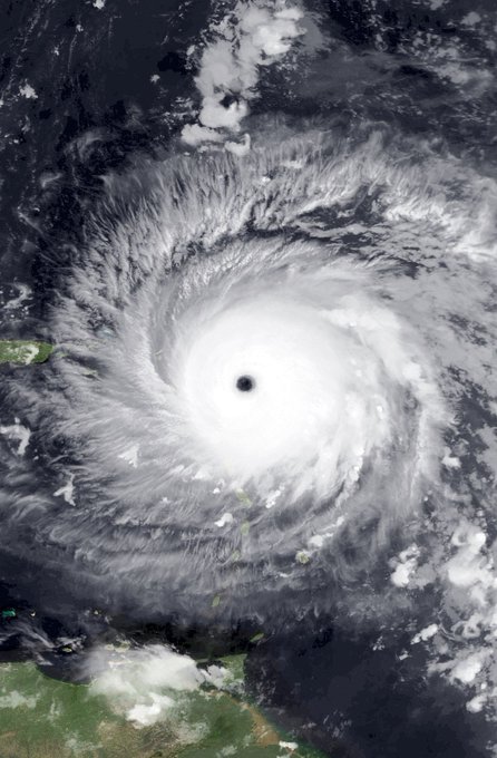
[🧵2] Hurricane Irma ‘17 was an insane C5 beast ravaging much of the Caribbean. Irma made multiple C5 landfalls & was 1 of the longest lasting C5s in the basin. Irma is the 2nd strongest landfall in storm in the basin. The extremity of the storm was crazy. (1/2)

22 125

PowerWashDemityan

5 10

Recent paper: "Biomechanical investigation of a passive upper-extremity exoskeleton for manual material handling – a computational parameter study and modelling approach"

Link: https://t.co/FgOhEuJ1fz

3 5

my favorite amity headcanon is that she has a nose shape similar to her dad <33 and also the frecklemity headcanon

9 45

forgor to post!!! thank you for the latest comms!!

reference sheet for @/NeemityNim & portrait for @/EmiEresVT

1 9

Babirusa, Mole Gorillas?
Playing around with skin texture and a recognizable bar for the body structure with varying extremity differences. https://t.co/IIVlBTlcbR

2 12